Welcome to the newest chapter in the growth of the Westlake subdivision in Sidney, Ohio.
At Fountainhead Investments, we’re excited to announce the development of Westlake Phase 6 and its future possibilities. Located along the Great Miami River with easy access to Interstate 75, these beautiful lots won’t last long. Westlake Phase 6 brings exciting opportunities for both residents and investors, with new homes, amenities, and infrastructure planned to support long-term growth in Sidney and Shelby County.
| Lot # | Acres | Frontage | Price |
|---|---|---|---|
| 7531 | 0.838 | 93.51 | $117,900.00 |
| 7532 | 0.723 | 100.15 | $117,900.00 |
| 7533 | 0.674 | 100.03 | $114,900.00 |
| 7534 | 0.573 | 100.08 | $114,900.00 |
| 7535 | 0.567 | 100.10 | $114,900.00 |
| 7536 | 0.599 | 100.10 | $114,900.00 |
| 7537 | 0.592 | 100.04 | $114,900.00 |
| 7538 | 0.552 | 100.00 | $114,900.00 |
| 7539 | 0.541 | 100.00 | $114,900.00 |
| 7540 | 0.590 | 100.00 | $117,900.00 |
| 7541 | 0.539 | 100.00 | $117,900.00 |
| 7542 | 0.928 | 89.26 | SOLD |
| 7543 | 0.578 | 52.36 | $114,900.00 |
| 7544 | 0.897 | 52.36 | $94,900.00 |
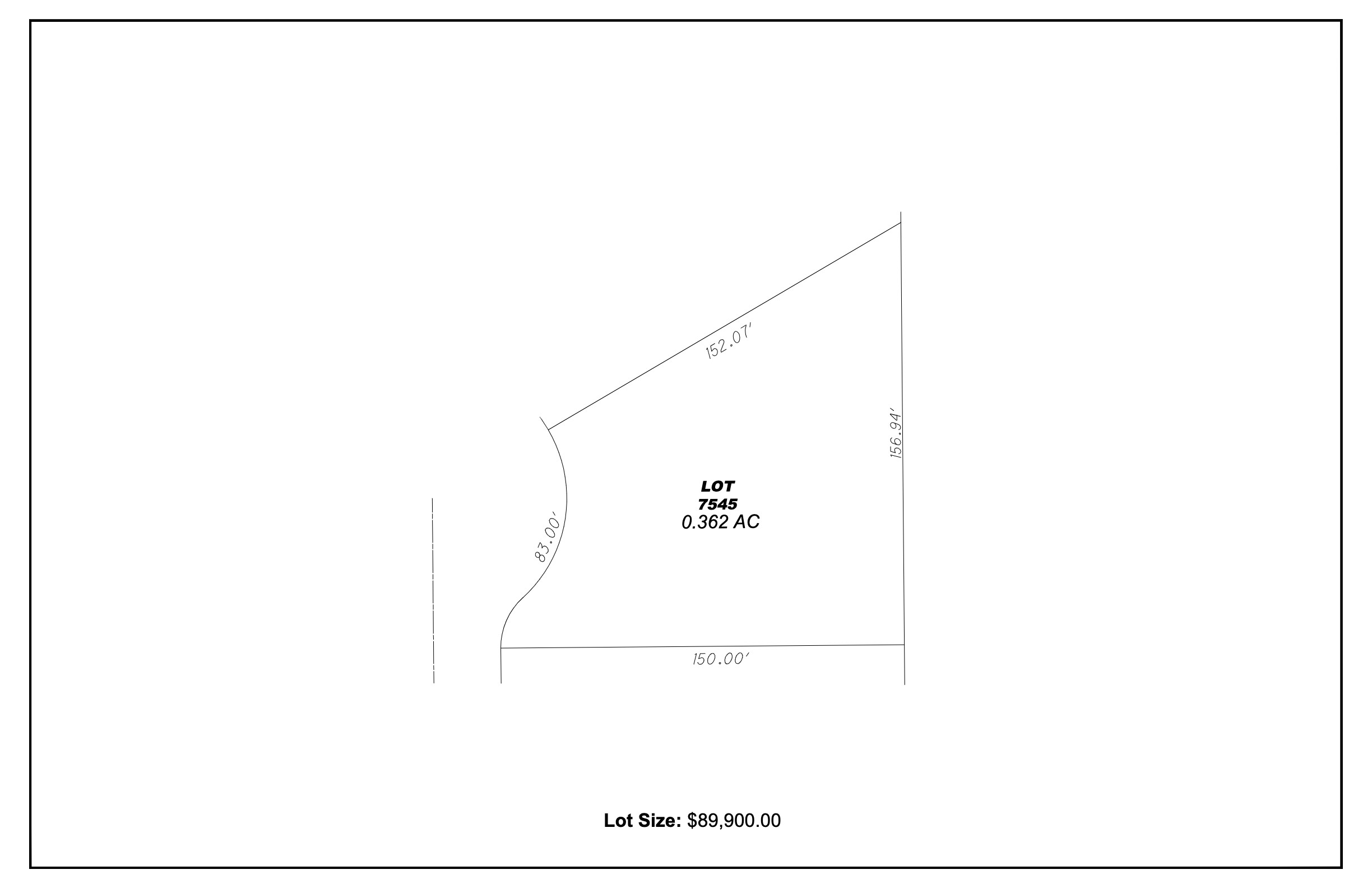
| 7545 | 0.362 | 68.23 | $89,900.00 |
| 7546 | 0.344 | 100.00 | $84,900.00 |
| 7547 | 0.427 | 100.00 | $84,900.00 |
| 7548 | 0.427 | 100.00 | $79,900.00 |
| 7549 | 0.347 | 100.04 | $79,900.00 |
| 7550 | 0.356 | 100.10 | $79,900.00 |
| 7551 | 0.366 | 100.10 | $79,900.00 |
| 7552 | 0.376 | 100.09 | $79,900.00 |
| 7553 | 0.380 | 100.03 | $79,900.00 |
| 7554 | 0.370 | 100.16 | $84,900.00 |

